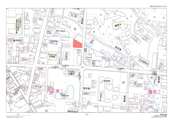
ÅÚÃÏ
ÂçÅÄ»ÔÂçÅÄÄ®ÂçÅÄ¡¡ÇäÅÚÃÏ¡¡Ìó109ÄÚ¡Ê͸úÉßÃÏÌó93ÄÚ¡Ë¢¡·úÃÛ¾ò·ï¤Ê¤·¢¡
| ²Á³Ê 700Ëü±ß¡ÊÄÚñ²Á¡§6.44Ëü±ß¡Ë ¸ò¾Ä¾õ¶· ÈÎÇäÃæ ¸½¶· ¹¹ÃÏ | ¤³¤Îʪ·ï¤Ë¤Ä¤¤¤ÆÌ䤤¹ç¤ï¤»¤ë |
- ÆüÅö¤¿¤êÎɹ¥
- ´×ÀŽ»ÂðÃÏ
- Ãó¼Ö¾ì£²Âæ°Ê¾å
¼Ì¿¿
´Ö¼è¤ê¿Þ
ʪ·ï¾ÜºÙ¾ðÊó
| ʪ·ïÈÖ¹æ | AF0028 | ½êºßÃÏ | ÂçÅÄ»ÔÂçÅÄÄ®ÂçÅÄ¥¤292ÈÖ7 | ||
|---|---|---|---|---|---|
| ¼ïÊÌ | ÅÚÃÏ | ÅÚÃÏÌÌÀÑ | 359.05Ö¡Ê108.61ÄÚ¡Ë | ||
| Áí¶è²è¿ô | 1 | »äÆ»ÌÌÀÑ | |||
| ·ú¤Ú¤¤Î¨ | 60¡ó | ÍÆÀÑΨ | 200¡ó | ||
| ¸¢Íø¶â | ¤½¤Î¾°ì»þ¶â | ¿åÆ»¥á¡¼¥¿¡¼²ÃÆþ¶â¡¦¸ÇÄê»ñ»ºÀǤÎÀ¶»»¡¦Ãç²ð¼ê¿ôÎÁ | |||
| ¶è²èÈÖ¹æ | ¼è°ú·ÁÂÖ | ÇÞ²ð | |||
| ÅÚÃϸ¢Íø | ½ê͸¢ | ¹ñÅÚË¡ÆÏ½Ð | ÉÔÍ× | ||
| ±èÀþ¸òÄÌ | £Ê£Ò | °úÅϤ· | ÁêÃÌ | ||
| ÃÏÌÜ | ÂðÃÏ | ÃÏÌÜÀâÌÀ | |||
| ÅԻԷײè | ¤½¤Î¾ | ÍÑÅÓÃϰè | Â裱¼ï½»µïÃϰè | ||
| ÀÜÆ»¾õ¶· | À¾Â¦¸øÆ»4m¤ËÌó20£íÀÜÆ»¡¦Æî¦¸øÆ»Ìó£´£í¤ËÌó19£íÀÜÆ» | ||||
| °Ý»ý´ÉÍýÈñÅù | |||||
| ¼ÚÃÏ´ü´Ö¡¦ÃÏÂå | |||||
| ÃÏÀª | ʿóÃÏ¡ÊÅì¦ƻϩ¤È¤Ï¹âÄ㺹ͤê¡Ë | ||||
| ´ÉÍý·ÁÂÖ¡¢¾ò·ïÅù | |||||
| ºÇ´ó±Ø | JRÂçÅÄ»Ô±Ø | ||||
| ¥Ð¥¹Åù¸òÄ̼êÃÊ | |||||
| ¹»¶è | ÂçÅľ®³Ø¹»¶è¡¦ÂçÅÄÂè°ìÃæ³Ø¹»¶è | ||||
| ¾Ò²ð¥µ¥¤¥È | https://www.izumo-chuo.jp/bkndetail/1673610111/room102885352/ | ||||
| ¹¹ð͸ú´ü´Ö | |||||
| È÷¹Í | ¢£ÉßÃϤæ¤È¤ê¤Î100ÄÚĶ¡ª ¡ÊÅÔ»Ô·×²èÆ»Ï©¤Ë³Ý¤«¤Ã¤Æ¤ª¤ê¡¢Í¸úÉßÃÏÌÌÀѤÏÌó93ÄÚ¡Ë ¢£Ê¿²°¤ä¹¡¹¤ªÄí¤â¼è¤ì¤Þ¤¹¡ª ¢£·úÃÛ¾ò·ï¤Ê¤·¤Ç¤ª¹¥¤¤Ê¥Ï¥¦¥¹¥á¡¼¥«¡¼¤Ç·úÃÛ²Äǽ¡ª ¢£ÂçÅľ®³Ø¹»¶è¡¦ÂçÅÄÂè°ìÃæ³Ø¹»¶è ¢£¸½¾õ¹¹ÃÏ ¢£¶áÎÙ¤ÏÀ¸³è»ÜÀߤ¬½¼¼Â¡ª ¢£ÊÌÅÓ¡¢¿åÆ»°ú¤¹þ¤ß¹©»ö¤¬É¬Í× ¢£¾ô²½ÁåÀßÃÖ¤¬É¬Í× ¢£ÊÌÅÓ¡¢¿åÆ»¥á¡¼¥¿¡¼²ÃÆþ¶â¡¦¸ÇÄê»ñ»ºÀǤÎÀ¶»»¡¦Ãç²ð¼ê¿ôÎÁ¤¬É¬Í× |
||||
| ʪ·ïÈÖ¹æ | AF0028 | ||
|---|---|---|---|
| ½êºßÃÏ | ÂçÅÄ»ÔÂçÅÄÄ®ÂçÅÄ¥¤292ÈÖ7 | ||
| ¼ïÊÌ | ÅÚÃÏ | ||
| ÅÚÃÏÌÌÀÑ | 359.05Ö¡Ê108.61ÄÚ¡Ë | ||
| Áí¶è²è¿ô | 1 | ||
| »äÆ»ÌÌÀÑ | |||
| ·ú¤Ú¤¤Î¨ | 60¡ó | ||
| ÍÆÀÑΨ | 200¡ó | ||
| ¸¢Íø¶â | |||
| ¤½¤Î¾°ì»þ¶â | ¿åÆ»¥á¡¼¥¿¡¼²ÃÆþ¶â¡¦¸ÇÄê»ñ»ºÀǤÎÀ¶»»¡¦Ãç²ð¼ê¿ôÎÁ | ||
| ¶è²èÈÖ¹æ | |||
| ¼è°ú·ÁÂÖ | ÇÞ²ð | ||
| ÅÚÃϸ¢Íø | ½ê͸¢ | ||
| ¹ñÅÚË¡ÆÏ½Ð | ÉÔÍ× | ||
| ±èÀþ¸òÄÌ | £Ê£Ò | ||
| °úÅϤ· | ÁêÃÌ | ||
| ÃÏÌÜ | ÂðÃÏ | ||
| ÃÏÌÜÀâÌÀ | |||
| ÅԻԷײè | ¤½¤Î¾ | ||
| ÍÑÅÓÃϰè | Â裱¼ï½»µïÃϰè | ||
| ÀÜÆ»¾õ¶· | À¾Â¦¸øÆ»4m¤ËÌó20£íÀÜÆ»¡¦Æî¦¸øÆ»Ìó£´£í¤ËÌó19£íÀÜÆ» | ||
| °Ý»ý´ÉÍýÈñÅù | |||
| ¼ÚÃÏ´ü´Ö¡¦ÃÏÂå | |||
| ÃÏÀª | ʿóÃÏ¡ÊÅì¦ƻϩ¤È¤Ï¹âÄ㺹ͤê¡Ë | ||
| ´ÉÍý·ÁÂÖ¡¢¾ò·ïÅù | |||
| ºÇ´ó±Ø | JRÂçÅÄ»Ô±Ø | ||
| ¥Ð¥¹Åù¸òÄ̼êÃÊ | |||
| ¹»¶è | ÂçÅľ®³Ø¹»¶è¡¦ÂçÅÄÂè°ìÃæ³Ø¹»¶è | ||
| ¾Ò²ð¥µ¥¤¥È | https://www.izumo-chuo.jp/bkndetail/1673610111/room102885352/ | ||
| ¹¹ð͸ú´ü´Ö | |||
| È÷¹Í | ¢£ÉßÃϤæ¤È¤ê¤Î100ÄÚĶ¡ª ¡ÊÅÔ»Ô·×²èÆ»Ï©¤Ë³Ý¤«¤Ã¤Æ¤ª¤ê¡¢Í¸úÉßÃÏÌÌÀѤÏÌó93ÄÚ¡Ë ¢£Ê¿²°¤ä¹¡¹¤ªÄí¤â¼è¤ì¤Þ¤¹¡ª ¢£·úÃÛ¾ò·ï¤Ê¤·¤Ç¤ª¹¥¤¤Ê¥Ï¥¦¥¹¥á¡¼¥«¡¼¤Ç·úÃÛ²Äǽ¡ª ¢£ÂçÅľ®³Ø¹»¶è¡¦ÂçÅÄÂè°ìÃæ³Ø¹»¶è ¢£¸½¾õ¹¹ÃÏ ¢£¶áÎÙ¤ÏÀ¸³è»ÜÀߤ¬½¼¼Â¡ª ¢£ÊÌÅÓ¡¢¿åÆ»°ú¤¹þ¤ß¹©»ö¤¬É¬Í× ¢£¾ô²½ÁåÀßÃÖ¤¬É¬Í× ¢£ÊÌÅÓ¡¢¿åÆ»¥á¡¼¥¿¡¼²ÃÆþ¶â¡¦¸ÇÄê»ñ»ºÀǤÎÀ¶»»¡¦Ãç²ð¼ê¿ôÎÁ¤¬É¬Í× |
||
14 since 2026-03-31
¼è¤ê°·¤¤Å¹ÊÞ
³ô¼°²ñ¼Ò¡¡¤¤¤º¤âÃæ±ûÉÔÆ°»º
¢©693-0068¡¡Å纬¸©½Ð±À»Ôɱ¸¶£³ÃúÌÜ1-5
[ÌȵöÈÖ¹æ]Å纬¸©Ãλö¡Ê1¡ËÂè1392¹æ
¸ø±×¼ÒÃÄË¡¿Í¡¡ÉÔÆ°»ºÊݾڶ¨²ñ²ñ°÷
¸ø±×¼ÒÃÄË¡¿Í¡¡Á´ÆüËÜÉÔÆ°»º¶¨²ñ²ñ°÷
Ãæ¹ñÃ϶èÉÔÆ°»º¸øÀµ¼è°ú¶¨µÄ²ñ²ñ°÷

- 0853-31-5055
¤´Ï¢Íí¤ÎºÝ¤Ï¡Ö»³±¢ÉÔÆ°»º¥Ê¥Ó¤ò¸«¤¿¡×¤È¸À¤¦¤È¥¹¥à¡¼¥º¤Ç¤¹ - FAX
- 0853-31-5056


























