ÅÚÃÏ
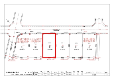
ÅÔÌîÄÅʬ¾ùÃÏ〖Á´6¶è²è〗D¹æÃÏ
| ²Á³Ê 395.1Ëü±ß¡ÊÄÚñ²Á¡§7.50Ëü±ß¡Ë ¸ò¾Ä¾õ¶· ¾¦ÃÌÃæ ¸½¶· ¹¹ÃÏ | ¤³¤Îʪ·ï¤Ë¤Ä¤¤¤ÆÌ䤤¹ç¤ï¤»¤ë |
¼Ì¿¿
´Ö¼è¤ê¿Þ
ʪ·ï¾ÜºÙ¾ðÊó
| ʪ·ïÈÖ¹æ | AI0268 | ½êºßÃÏ | ¹¾ÄÅ»ÔÅÔÌîÄÅÄ® | ||
|---|---|---|---|---|---|
| ¼ïÊÌ | ÅÚÃÏ | ÅÚÃÏÌÌÀÑ | 174.13Ö¡Ê52.67ÄÚ¡Ë | ||
| Áí¶è²è¿ô | 6 | »äÆ»ÌÌÀÑ | |||
| ·ú¤Ú¤¤Î¨ | 60¡ó | ÍÆÀÑΨ | 200¡ó | ||
| ¸¢Íø¶â | ¤½¤Î¾°ì»þ¶â | ||||
| ¶è²èÈÖ¹æ | D¹æÃÏ | ¼è°ú·ÁÂÖ | Çä¼ç | ||
| ÅÚÃϸ¢Íø | ½ê͸¢ | ¹ñÅÚË¡ÆÏ½Ð | ÉÔÍ× | ||
| ±èÀþ¸òÄÌ | £Ê£Ò | °úÅϤ· | ÁêÃÌ | ||
| ÃÏÌÜ | ÂðÃÏ | ÃÏÌÜÀâÌÀ | |||
| ÅԻԷײè | ¤½¤Î¾ | ÍÑÅÓÃϰè | Â裲¼ï½»µïÃϰè | ||
| ÀÜÆ»¾õ¶· | ËÌÅì¦6.0£í¤Îƻϩ¤Ë9.8£íÀÜÆ» | ||||
| °Ý»ý´ÉÍýÈñÅù | |||||
| ¼ÚÃÏ´ü´Ö¡¦ÃÏÂå | |||||
| ÃÏÀª | Ê¿ÃÏ | ||||
| ´ÉÍý·ÁÂÖ¡¢¾ò·ïÅù | |||||
| ºÇ´ó±Ø | ÅÔÌîÄÅ±Ø | ||||
| ¥Ð¥¹Åù¸òÄ̼êÃÊ | ¤ª¤«¤À¥Õ¥¡¥ß¥ê¡¼¥¯¥ê¥Ë¥Ã¥¯Á°¥Ð¥¹Ää¤Þ¤ÇÌó290£í¡¡ÅÌÊâÌó4ʬ | ||||
| ¹»¶è | ¹¾ÄÅ»ÔΩÄŵܾ®³Ø¹»¡¢¹¾ÄÅ»ÔΩÀÄÎÍÃæ³Ø¹» | ||||
| ¾Ò²ð¥µ¥¤¥È | https://niconico-jutaku.com/owner/owner-8243/ | ||||
| ¹¹ð͸ú´ü´Ö | 2025ǯ12·î26Æü | ||||
| È÷¹Í | |||||
| ʪ·ïÈÖ¹æ | AI0268 | ||
|---|---|---|---|
| ½êºßÃÏ | ¹¾ÄÅ»ÔÅÔÌîÄÅÄ® | ||
| ¼ïÊÌ | ÅÚÃÏ | ||
| ÅÚÃÏÌÌÀÑ | 174.13Ö¡Ê52.67ÄÚ¡Ë | ||
| Áí¶è²è¿ô | 6 | ||
| »äÆ»ÌÌÀÑ | |||
| ·ú¤Ú¤¤Î¨ | 60¡ó | ||
| ÍÆÀÑΨ | 200¡ó | ||
| ¸¢Íø¶â | |||
| ¤½¤Î¾°ì»þ¶â | |||
| ¶è²èÈÖ¹æ | D¹æÃÏ | ||
| ¼è°ú·ÁÂÖ | Çä¼ç | ||
| ÅÚÃϸ¢Íø | ½ê͸¢ | ||
| ¹ñÅÚË¡ÆÏ½Ð | ÉÔÍ× | ||
| ±èÀþ¸òÄÌ | £Ê£Ò | ||
| °úÅϤ· | ÁêÃÌ | ||
| ÃÏÌÜ | ÂðÃÏ | ||
| ÃÏÌÜÀâÌÀ | |||
| ÅԻԷײè | ¤½¤Î¾ | ||
| ÍÑÅÓÃϰè | Â裲¼ï½»µïÃϰè | ||
| ÀÜÆ»¾õ¶· | ËÌÅì¦6.0£í¤Îƻϩ¤Ë9.8£íÀÜÆ» | ||
| °Ý»ý´ÉÍýÈñÅù | |||
| ¼ÚÃÏ´ü´Ö¡¦ÃÏÂå | |||
| ÃÏÀª | Ê¿ÃÏ | ||
| ´ÉÍý·ÁÂÖ¡¢¾ò·ïÅù | |||
| ºÇ´ó±Ø | ÅÔÌîÄÅ±Ø | ||
| ¥Ð¥¹Åù¸òÄ̼êÃÊ | ¤ª¤«¤À¥Õ¥¡¥ß¥ê¡¼¥¯¥ê¥Ë¥Ã¥¯Á°¥Ð¥¹Ää¤Þ¤ÇÌó290£í¡¡ÅÌÊâÌó4ʬ | ||
| ¹»¶è | ¹¾ÄÅ»ÔΩÄŵܾ®³Ø¹»¡¢¹¾ÄÅ»ÔΩÀÄÎÍÃæ³Ø¹» | ||
| ¾Ò²ð¥µ¥¤¥È | https://niconico-jutaku.com/owner/owner-8243/ | ||
| ¹¹ð͸ú´ü´Ö | 2025ǯ12·î26Æü | ||
| È÷¹Í | |||
1747 since 2025-10-25
¼è¤ê°·¤¤Å¹ÊÞ
Ãæ±û·úÀߡʳô¡Ë
¢©693-0028¡¡Å纬¸©½Ð±À»Ô±öÌêÁ±¹ÔÄ®£±£°¡Ý£±
[ÌȵöÈÖ¹æ]¹ñÅÚ¸òÄÌÂç¿Ã(3¡ËÂè8852¹æ
¸ø±×¼ÒÃÄË¡¿Í¡¡Á´ÆüËÜÉÔÆ°»º¶¨²ñ²ñ°÷
¸ø±×¼ÒÃÄË¡¿Í¡¡ÉÔÆ°»ºÊݾڶ¨²ñ²ñ°÷
Ãæ¹ñÃ϶èÉÔÆ°»º¸øÀµ¼è°ú¶¨µÄ²ñ²ñ°÷

- 0853-22-6311
¤´Ï¢Íí¤ÎºÝ¤Ï¡Ö»³±¢ÉÔÆ°»º¥Ê¥Ó¤ò¸«¤¿¡×¤È¸À¤¦¤È¥¹¥à¡¼¥º¤Ç¤¹ - FAX
- 0853-22-6794














