ÅÚÃÏ
²ÃÌÐÄ®²ÃÌÐÃæÅÚÃÏ¡¡¡ù¾®³Ø¹»¶á¤¯¤Î´×ÀŤʽ»Â𳹡ù
| ²Á³Ê 750Ëü±ß¡ÊÄÚñ²Á¡§10.39Ëü±ß¡Ë ¸ò¾Ä¾õ¶· ÈÎÇäÃæ ¸½¶· ʬ¾ùÃæ | ¤³¤Îʪ·ï¤Ë¤Ä¤¤¤ÆÌ䤤¹ç¤ï¤»¤ë |
¼Ì¿¿
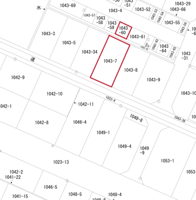
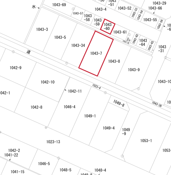
´Ö¼è¤ê¿Þ
ʪ·ï¾ÜºÙ¾ðÊó
9 since 2026-02-25
¼è¤ê°·¤¤Å¹ÊÞ
ÅÄÃæ¹©¶È¡¡³ô¼°²ñ¼Ò
¢©699-1333¡¡Å纬¸©±ÀÆî»ÔÌÚ¼¡Ä®²¼·§Ã«1098ÈÖÃÏ8
[ÌȵöÈÖ¹æ]Å纬¸©Ãλö¡Ê4¡Ë¹æ1111¹æ
¸ø±×¼ÒÃÄË¡¿Í¡¡Á´ÆüËÜÉÔÆ°»º¶¨²ñ²ñ°÷¡¡¡¡¡¡¡¡¡¡¡¡¡¡¡¡¡¡¡¡¡¡¡¡¡¡¡¡¡¡¡¡
¸ø±×¼ÒÃÄË¡¿Í¡¡ÉÔÆ°»ºÊݾڶ¨²ñ²ñ°÷¡¡¡¡¡¡¡¡¡¡¡¡¡¡¡¡¡¡¡¡¡¡¡¡¡¡¡¡¡¡
°ìÈ̼ÒÃÄË¡¿Í¡¡Á´¹ñÉÔÆ°»º¶¨²ñ²ñ°÷

- 0854-42-0473
¤´Ï¢Íí¤ÎºÝ¤Ï¡Ö»³±¢ÉÔÆ°»º¥Ê¥Ó¤ò¸«¤¿¡×¤È¸À¤¦¤È¥¹¥à¡¼¥º¤Ç¤¹ - FAX
- 0854-42-5406


















