ÅÚÃÏ
¡ùÂçÅìÄ®ÅÄÃæ¤ÎÅÚÃÏ¡ù
| ²Á³Ê 410Ëü±ß¡ÊÄÚñ²Á¡§5.53Ëü±ß¡Ë ¸ò¾Ä¾õ¶· ÈÎÇäÃæ ¸½¶· ¹¹ÃÏ | ¤³¤Îʪ·ï¤Ë¤Ä¤¤¤ÆÌ䤤¹ç¤ï¤»¤ë |
¼Ì¿¿
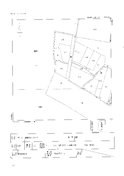
´Ö¼è¤ê¿Þ
ʪ·ï¾ÜºÙ¾ðÊó
5613 since 2023-06-08
¼è¤ê°·¤¤Å¹ÊÞ
³ô¼°²ñ¼ÒÆ«»³·úÀß
¢©699-1322¡¡Å纬¸©±ÀÆî»ÔÌÚ¼¡Ä®»ûÎÎ468ÈÖÃÏ3
[ÌȵöÈÖ¹æ]Å纬¸©Ãλö¡Ê8¡ËÂè826¹æ
¡ù¸ø±×ºâÃÄË¡¿Í¡¡Á´ÆüËÜÉÔÆ°»º¶¨²ñ²ñ°÷
¡¡¡¡¡¡¡¡¡¡¡¡¡¡¡¡

- 0854-42-0207
¤´Ï¢Íí¤ÎºÝ¤Ï¡Ö»³±¢ÉÔÆ°»º¥Ê¥Ó¤ò¸«¤¿¡×¤È¸À¤¦¤È¥¹¥à¡¼¥º¤Ç¤¹ - FAX
- 0854-42-0286


















